RAPPAHANNOCK RIVER
SALE OF WATERFRONT LOT WITH COTTAGE
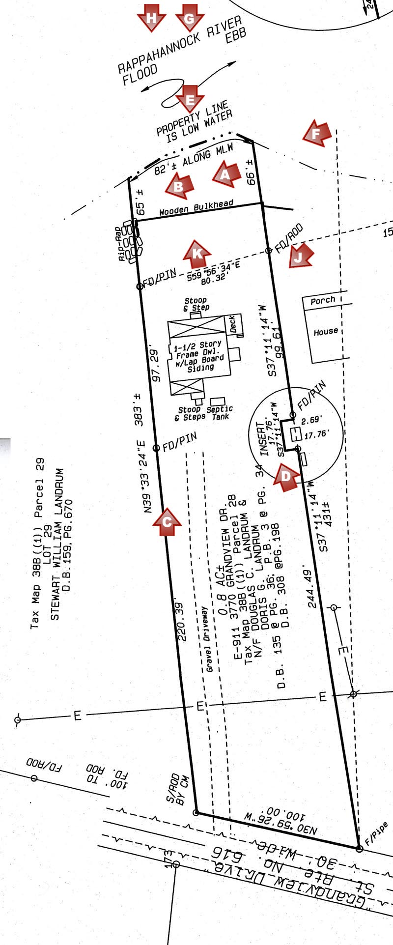
3770 GRANDVIEW DRIVE, ESSEX COUNTY, VIRGINIA
                   
 
This property is located 10 miles south of Tappahannock, Virginia, 52 miles east of Richmond, 56 miles south of Fredericksburg and 100 miles south of D.C. The lot has good elevation, a bulkhead and beach area with ± 82 feet of frontage on the river. This area provides excellent boating, freshwater and saltwater fishing.
 
                   
Property Survey - Detail of the Waterfront Lot - Photo Locations
 
                   
       
           
  Intro page
Lot photos
Local maps
 

RappahannockProperty
Tel: 804-366-1688
Fax: 804-443-2219